



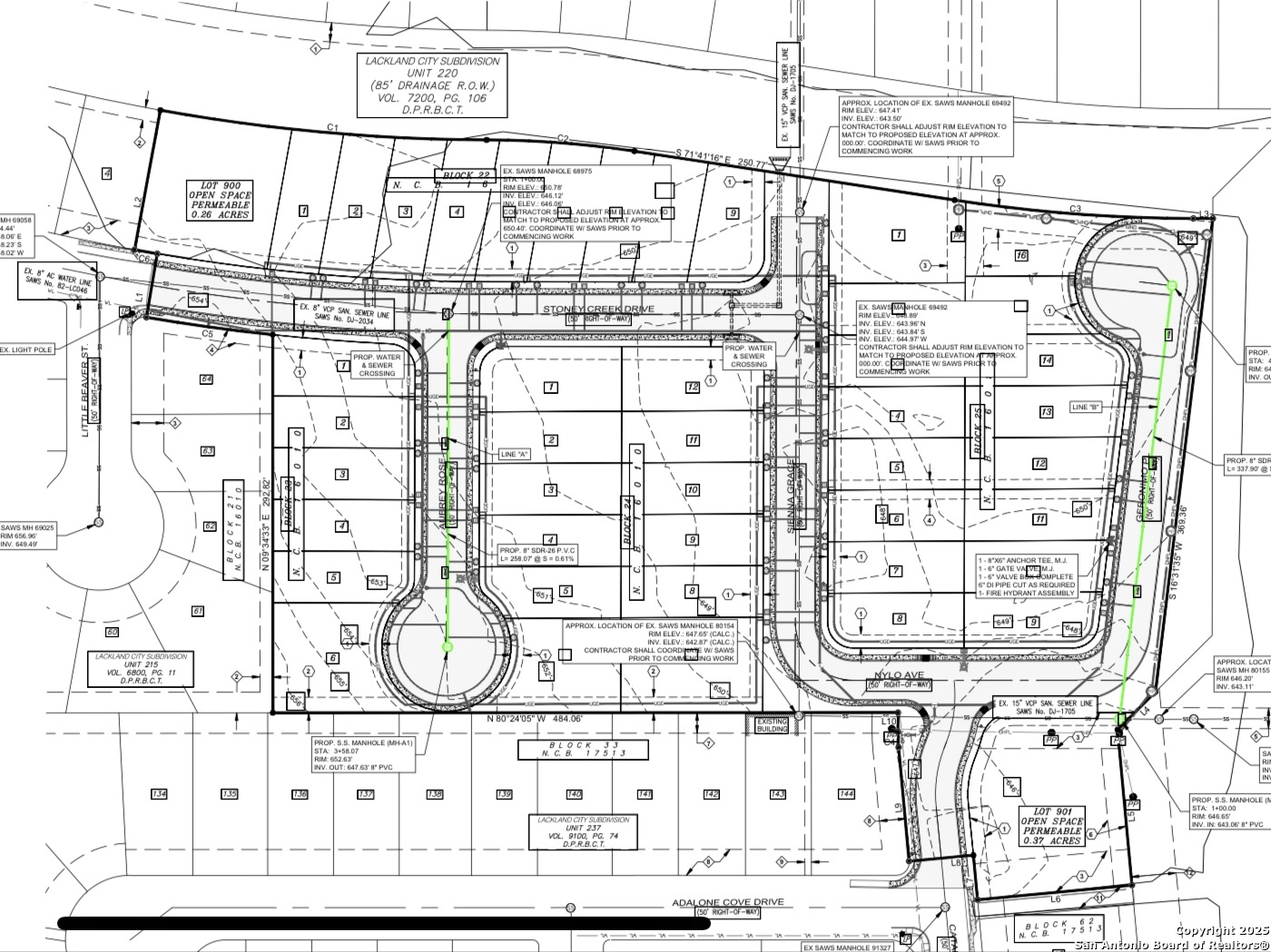
FULLY ENTITLED PROPERTY. PHASE 1 REPORT AVAILABLE. Act fast. This is a rare chance to break ground immediately on 7.687 acres of fully approved land in one of San Antonio's fastest growing areas. Just minutes from Lackland Air Force Base, I 410, and downtown, this site is surrounded by booming residential and commercial activity. Zoned R4 and approved for 43 single family homes, all permits are in place and ready to go. No waiting, no delays. Large lot sizes, and an unbeatable location make this an exceptional opportunity for developers and builders looking to move quickly and maximize returns. Secure your position in the path of progress and start building today.
| 5 days ago | Listing updated with changes from the MLS® | |
| 5 days ago | Status changed to Active Under Contract | |
| 2 weeks ago | Listing first seen on site |

Share your details and we’ll help you take the next step in your home search!